Das Ziel, auf das ich mich während unserer Kreuzfahrt durch die westliche Karibik auf der Carnival Glory am meisten gefreut hatte, war die Insel Roatan. Vor der Küste Honduras gelegen ist Roatan vor allem bekannt für die Unterwasserwelt: nach dem Great Barrier Reef vor Australien gibt es vor Roatan das zweitgrößte intakte Riff der Welt. Für uns stand daher sofort fest: auf Roatan gehen wir schnorcheln.
Tropenregen auf Roatan
Aufgrund der Zeitverschiebung (-2 Stunden zur Miami- und somit Schiffszeit) legten wir bereits um kurz vor 6 Uhr morgens in Roatan an. Da es draußen noch stockdunkel war, drehten wir uns nochmal um und frühstückten erstmal in Ruhe. Leider meinte es der Wettergott zunächst nicht gut mit uns, denn es gab einen ordentlichen Tropenregen, so dass wir es auch gar nicht so eilig hatten von Bord zu kommen.
Kreuzfahrtterminal Mahogany Bay
Auf Roatan gibt es zwei Kreuzfahrtterminals, wobei sich das von Carnival genutzte Terminal im Süden der Insel an der Mahogany Bay befindet und Platz für zwei Kreuzfahrtschiffe bietet. Praktischerweise können die Schiffe hier direkt anlegen, so dass wir auf das Tendern verzichten konnten. Natürlich gibt es auch an der Mahogany Bay, wenn auch im abgeschwächten Umfang, Souvenirläden und Duty Free Geschäfte. Auch hat man hier nochmal die Gelegenheit Ausflüge für den Landgang zu buchen.
Fahrt an die West Bay
Wir begaben uns direkt zu den Taxiständen denn unser Ziel sollte West Bay sein, da man dort laut unseren Informationen gut schnorcheln gehen kann. Die offiziellen Taxifahrer erkennt man auf Roatan übrigens an ihren blauen Hemden. Am Taxistand an der Mahogany Bay begibt man sich zunächst an einen kleinen Schalter, an dem das Ziel festhalten wird. Als Ziel am West Bay hatten wir uns das Bananarama Hotel ausgesucht. Für die Fahrten auf der Insel gibt es einen festen Tarif, dennoch sollte man sich vorab nochmals den Preis bestätigen lassen. So kostete z.B. die Fahrt nach West Bay pro Person und Strecke 15 USD. Für die komplette Tour zahlten wir somit 60 USD. Unser Fahrer hieß Joel und hieß uns freundlich willkommen. Während unserer Fahrt erzählte er uns wissenswertes über die Insel und beantwortete auch uns gerne unsere Fragen. Zu unserer Überraschung stellte sich heraus, dass Joel an der West Bay auf uns warten wird und uns anschließend wieder zurück fahren wird. Schnell noch eine Uhrzeit für die Rückfahrt vereinbart, zeigte er uns an der West Bay angekommen noch schnell den Weg zum Strand des Bananarama Hotels. Der Strandabschnitt dort steht Nicht-Hotelgästen gegen 10 USD am Tag zur Verfügung. Dafür bekommt man entweder eine Sonnenliege mit Schirm oder ein Freigetränk. Wir entschieden uns schließlich für die Liege, um unsere Sachen entsprechend ablegen zu können. Der Strandabschnitt wird durch eine Security bewacht, so dass man guten Gefühls ins Wasser gehen kann.
Und hier findet ihr das Bananarama Hotel:
Schnorchelausflug mit dem Boot
Die West Bay ist ein schöner, typisch karibischer Strandabschnitt und da hier hauptsächlich Hotelgäste am Strand verweilten, war zu unserer Zeit sehr wenig los. Kaum angekommen, wurden wir auch schon angesprochen, ob wir an einem Schnorchelausflug teilnehmen möchten. Für eine Fahrt zum Blue Channel inklusive Schnorchelstopp sollten wir 30 USD pro Person bezahlen. Da wir aber unsere eigene Ausrüstung dabei hatten, konnten wir den Preis pro Person noch auf 20 USD nachverhandeln und dann ging es auch schon los. Wir cremten uns noch schnell ein und suchten unsere Sachen zusammen und dann fuhren wir zusammem mit einer brasilianischen Familie und einem Guide zu unserer Schnorchelstelle. An der Schnorchelstelle angekommen, machte sich unser Guide ebenfalls bereit und kam mit uns ins Wasser. Die brasilianische Familie wurde noch mit Schwimmwesten ausgestattet, wir lehnten dankend ab. Sehr positiv war, dass kaum andere Boote vor Ort waren. Im Wasser folgten wir dann dem Guide und schnorchelten letztendlich eine Schleife zurück zum Boot. Etwas über eine Stunde dauerte unsere Schnorcheltour, auf der wir die brasilianische Familie ziemlich verloren (sie hielt sich dann hauptsächlich in Bootsnähe auf) und mit dem Guide alleine unterwegs waren. Er zeigte uns u.a. eine sehr große Muschel sowie bunte Fische. Insgesamt wirkte das Riff aber doch etwas verlassen, so dass wir uns bis heute nicht sicher sind, ob wir wirklich am bekannten Blue Channel waren.
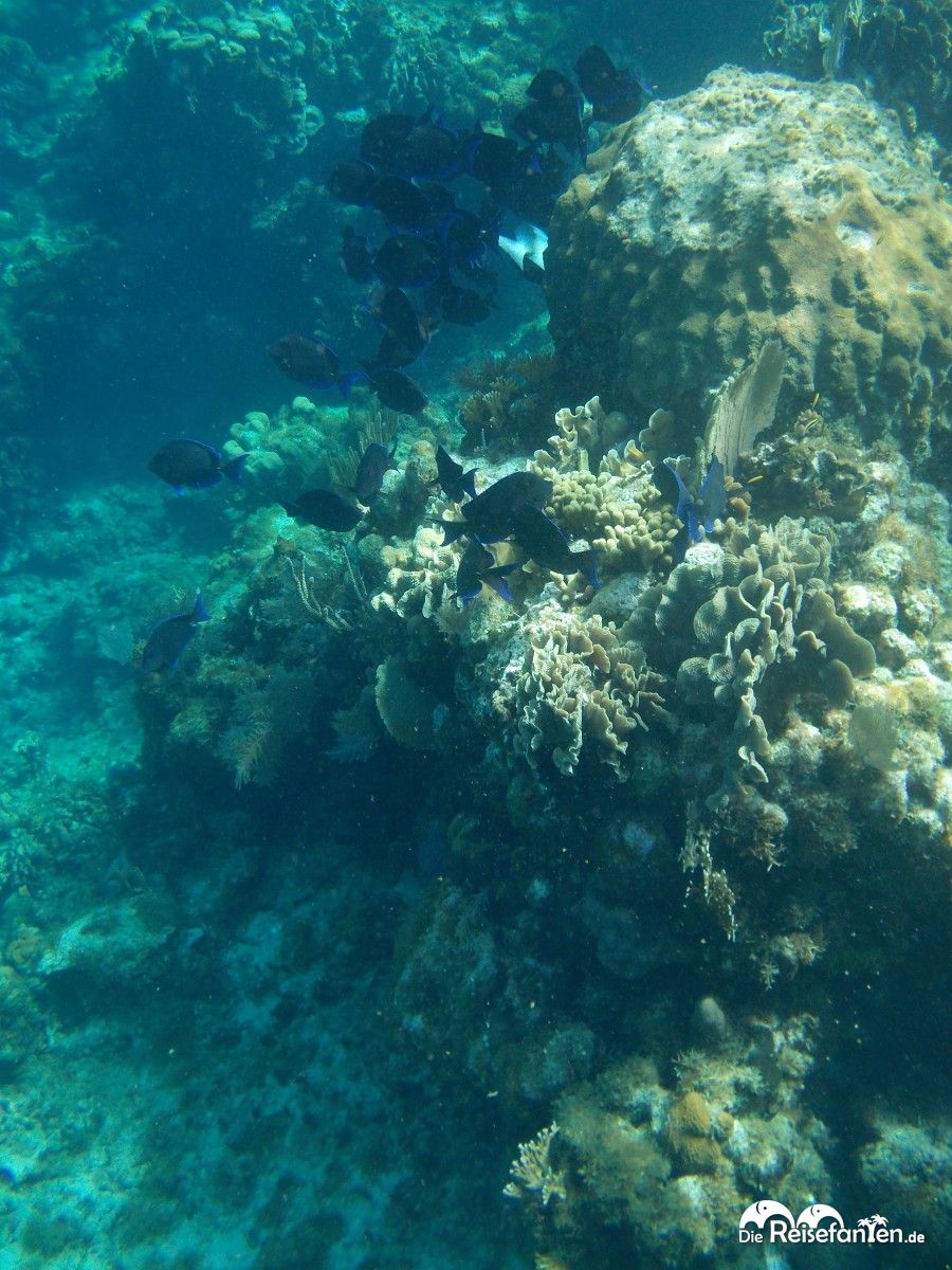
Schnorcheln direkt an der West Bay
Zurück an der West Bay angekommen, ging es für uns gleich wieder ins Wasser und wir schnorchelten noch ein wenig an der Küste entlang. Die Unterwasserwelt, die sich hier bot, war deutlich ergiebiger als vorher während des Ausflugs. Schade, dass es für uns zeitlich schon wieder sehr knapp war und wir zurück zum Schiff mussten. Wir wären hier gerne noch länger geblieben und hätten auch den Tipp der Angestellten, noch 15 Minuten den Strand weiter hoch zu laufen und bei den dortigen Felsen ins Wasser zu gehen, angenommen.
Zurück an der Mahogany Bay
Joel wartete schon auf uns und fuhr uns wieder zurück zur Mahogany Bay. Bezahlt wird die Taxifahrt übrigens erst nach Ankunft. Das ist für jeden Gast die Garantie, dass der Taxifahrer wartet und man wieder gut zurück gebracht wird. Zudem könnte man etwaige Probleme direkt am Taxistand aufnehmen. Wir hatten aber rein gar nichts zu bemängeln und können diesen Taxiservice nur empfehlen.
Für alle Traveller, die Einreisestempel in ihren Reisepässen sammeln, noch ein Tipp: am Kreuzfahrtterminal an der Mahogany Bay könnt ihr euch kostenlos einen Reisestempel in euren Reisepass geben lassen.
[ebook2]








